
88 000€ *A partir de 409 €/mois.
10450 - Breviandes
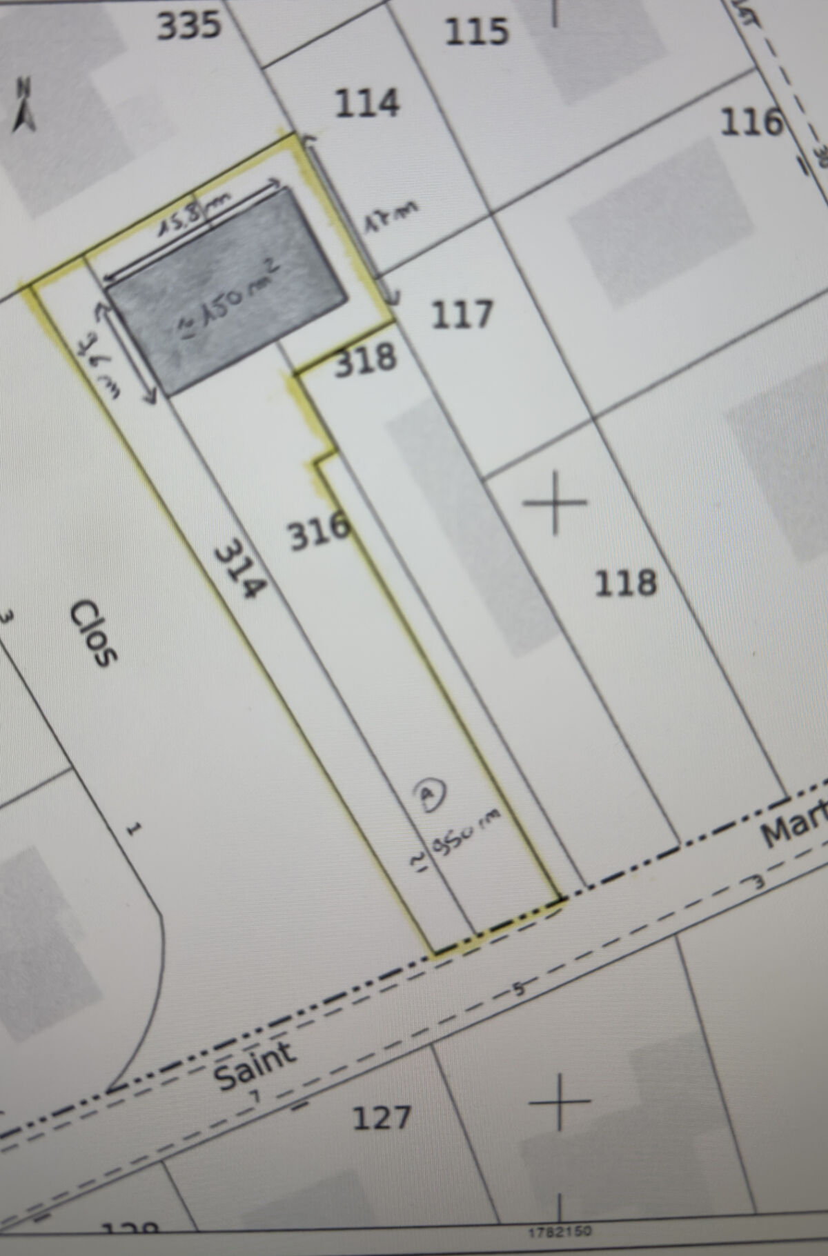
Ref : 2372.
Informations générales
- ref : 2372.
- Honoraires à la charge du vendeur
- Surface habitable : 941 m2
- Surface carrez : 941 m2
- Surface terrain : 941 m2
- Type de cuisine : aucune
Descriptif
Bienvenue à BRÉVIANDES, où un terrain constructible de 941 m2 vous attend pour y construire votre future maison. Ce secteur est très convoité.
Cette parcelle de terrain est le choix idéal pour y construire la maison de vos rêves. Avec une surface de 950 m2, vous avez l'espace nécessaire pour donner vie à tous vos projets de construction. Le terrain n'est pas viabilisé mais la viabilisation peut se faire directement dans la rue.
Nous sommes convaincus que ce terrain est l'endroit idéal pour réaliser votre projet de construction. Il vous offre la possibilité de construire la maison de vos rêves, avec un design qui vous ressemble. Avec une belle longueur de façade de plus de 11 mètres.
Alors, qu'attendez-vous ? Venez voir ce terrain dès maintenant et commencez à imaginer votre projet de construction. Nous sommes là pour vous aider à chaque étape du processus, afin de vous accompagner dans la réalisation de votre rêve. N'hésitez pas à nous contacter pour plus d'informations sur ce terrain unique à BRÉVIANDES.
Pour plus d'informations ou pour organiser une visite, n'hésitez pas à me contacter Lilit Karapetian
06 50 99 32 87
lilit.k@ducotedechezvous-immo.com
EI immatriculée au RSAC de Troyes no 803 399 963
1
Investissement locatif
Ce bien peut être proposé dans le cadre du déficit foncier, le montant des travaux de rénovation estimé est de 470 500€ ( estimation de 500€/m2 basée sur une moyenne de référence donnée par architecteo ) qui représente 535% du prix de vente.
Le loyer moyen pour ce bien est estimé à 8 591€ ( Estimation donnée à titre indicatif pour un bien en zone B2 estimé à 9.13€ / m2 )
Le loyer moyen pour ce bien est estimé à 8 591€ ( Estimation donnée à titre indicatif pour un bien en zone B2 estimé à 9.13€ / m2 )
* Montant des mensualités de crédit calculé sans apports sur une durée de 20 ans avec un taux de 1.1%, cette estimation est non-contractuelle. Un crédit vous engage et doit être remboursé. Vérifiez vos capacités de remboursement avant de vous engager» (art. L 311-5 al. 6 du CC)
