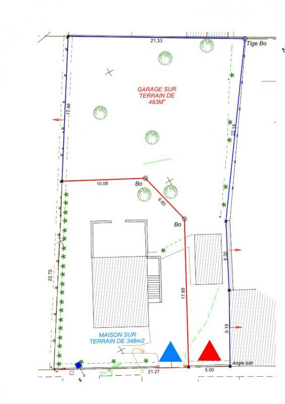
Terrain constructible

115 000€ *A partir de 534 €/mois.
14540 - Soliers
Ref : 244
Informations générales
- ref : 244
- Honoraires à la charge du vendeur
- Surface habitable : 483 m2
- Surface carrez : 525 m2
- Surface terrain : 483 m2
Descriptif
Au coeur de Soliers,
Garage sur un terrain d'environ 483 m2 constructible
Zone U
60% d'emprise au sol
Le bien sera viabilisé en eau potable, eau usée et EDF
La clôture séparative sera réalisée.
(5.02 % honoraires TTC à la charge de l'acquéreur.)
Investissement locatif
Ce bien peut être proposé dans le cadre du déficit foncier, le montant des travaux de rénovation estimé est de 262 500€ ( estimation de 500€/m2 basée sur une moyenne de référence donnée par architecteo ) qui représente 228% du prix de vente.
Le loyer moyen pour ce bien est estimé à 4 793€ ( Estimation donnée à titre indicatif pour un bien en zone C estimé à 9.13€ / m2 )
Le loyer moyen pour ce bien est estimé à 4 793€ ( Estimation donnée à titre indicatif pour un bien en zone C estimé à 9.13€ / m2 )
* Montant des mensualités de crédit calculé sans apports sur une durée de 20 ans avec un taux de 1.1%, cette estimation est non-contractuelle. Un crédit vous engage et doit être remboursé. Vérifiez vos capacités de remboursement avant de vous engager» (art. L 311-5 al. 6 du CC)
